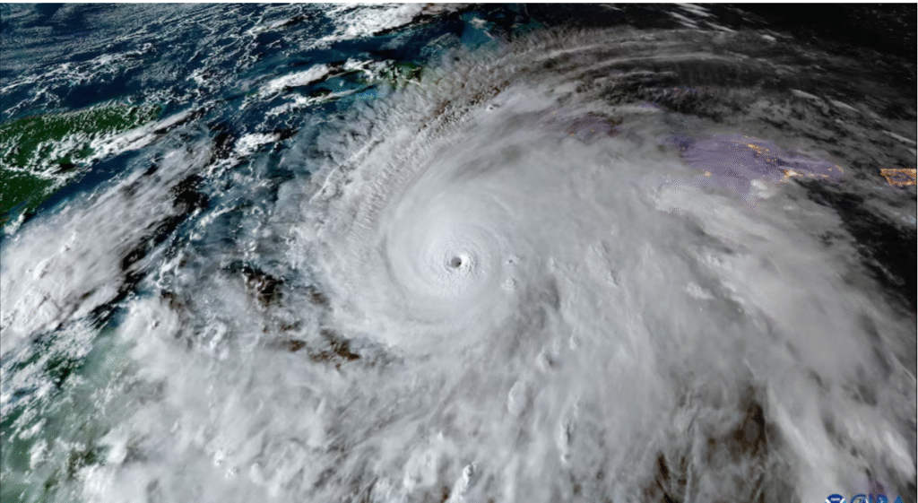
KINGSTON (Reuters) — Hurricane Melissa was expected to bring catastrophe as it makes landfall in Jamaica with storm surges, flash floods and landslides in the worst storm to hit the Caribbean island this century, a U.N. weather official said on Tuesday.
The Category 5 storm, the strongest possible on the Saffir-Simpson scale, will bring wind gusts of over 300 km per hour (186 miles per hour) and widespread devastation to the island, where authorities have ordered mandatory evacuations.
“It’s a catastrophic situation expected in Jamaica,” the World Meteorological Organization’s tropical cyclone specialist Anne-Claire Fontan told a Geneva press briefing. “For Jamaica, it will be the storm of the century for sure.”
Storm surges of up to four meters were expected, she said, with rainfall set to exceed 70 cm (2.3 ft), causing “catastrophic flash flooding and landslides,” she said.
The U.S. National Hurricane Center expects the storm to hit Jamaica early on Tuesday, and then cross eastern Cuba to move over the Bahamas and Turks and Caicos by Wednesday.
Storm intensified on approach
Melissa’s slow movement over unusually tepid Caribbean water had contributed to its ballooning size and strength, NHC forecasters said, threatening Jamaica with days of never-before-seen catastrophic winds and rain.
The International Federation of the Red Cross said up to 1.5 million in Jamaica were expected to be directly affected by the storm.
“Today will be very difficult for tens of thousands, if not millions of people in Jamaica,” IFRC’s Necephor Mghendi said via video link from Port of Spain in Trinidad and Tobago.
“Roofs will be tested, flood waters will rise, isolation will become a harsh reality for many.”
To enable swift relief distribution, essential items — tarpaulins, hygiene kits, blankets and safe drinking water — had been pre-positioned in Red Cross branches on the island, he said, with over 800 shelters set up for evacuees.
‘A dire situation unfolding in slow motion’
Today, Prime Minister Andrew Holness ordered mandatory evacuations for parts of southern Jamaica, including the historic town of Port Royal.
He warned of damage to farmlands, homes and infrastructure on the island, which is roughly the size of Connecticut and whose main airports sit close to sea level.
Holness said his government was as prepared as can be, with an emergency response budget of $33 million and insurance and credit provisions for damage a little larger than that sustained from last year’s devastating Hurricane Beryl.
Beryl was the earliest and fastest Atlantic hurricane on record to reach Category 5, but scientists warn that storms are becoming stronger faster as a result of climate change warming ocean waters.
“Slow-moving major hurricanes often go down in history as some of the deadliest and most destructive storms on record,” said AccuWeather Chief Meteorologist Jonathan Porter. “This is a dire situation unfolding in slow motion.”
‘We can’t move’
Damian Anderson, a teacher from Hagley Gap, a town nestled in Jamaica’s Blue Mountains, said on Monday impassable roads had already cut off his community.
“We can’t move,” Anderson, 47, said. “We’re scared. We’ve never seen a multi-day event like this before.”
Nearby Haiti and the Dominican Republic have faced days of torrential downpours leading to at least four deaths, authorities said.
“Melissa will continue to track towards South Cuba and then the Bahamas, bringing again, a lot of rain and destructive wind as well as storm surges,” said the WMO’s Fontan.
Bahamian Prime Minister Philip Davis ordered evacuations for people in southern and eastern parts of the archipelago.
In Cuba, authorities said they had evacuated upwards of 500,000 people from areas vulnerable to winds and flooding.
By REUTERS
Reporting by Emma Farge in Geneva, Zahra Burton in Kingston, Dave Sherwood in Havana and Sarah Morland in Mexico City; editing by Kirsti Knolle, Ros Russell and Bernadette Baum
Our Standards: The Thomson Reuters Trust Principles

